トップページ
角漁丸紹介・料金
はじめての方へ
ブログ
予約状況・予約フォーム
お問い合わせ
ブログ
HOME
ブログ
10月17日本日の釣果
2025年10月17日
/ 最終更新日 :
2025年10月18日
manager
ブログ
10月17日本日の釣果
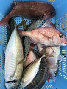
10月17日本日の釣果は
真鯛 真鯵 真鯖 ハマチなど
今日は
風の中のつりでした。
ブログ
前の記事
10月13日、本日は爺様
2025年10月13日
ブログ
次の記事
10月20日朝から爺様釣りました
2025年10月20日
PAGE TOP
MENU
トップページ
角漁丸紹介・料金
はじめての方へ
ブログ
予約状況・予約フォーム
お問い合わせ