10月20日朝から爺様釣りました

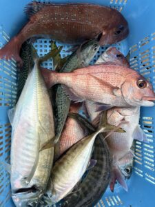
朝から爺様 真鯛釣りました。

 

爺様、今日はここまで

これから本業、網あげに行きます。

前の記事

10月17日本日の釣果

次の記事

発送しました